1. ホーム
  2. 釣果ブログ
  3. ヒラメ、青物コース
  4. 第八・59cmの良型ヒラメ現る!泳がせ釣りで楽しむ伊良湖沖!

釣果ブログ

第八・59cmの良型ヒラメ現る!泳がせ釣りで楽しむ伊良湖沖!

本日は 伊良湖沖 へ、人気の 活きイワシ泳がせ釣り で出船しました!
天気は晴れて海況も穏やかで、まさに絶好の釣り日和。
朝から期待膨らむスタートとなりました。
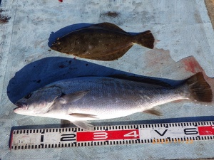
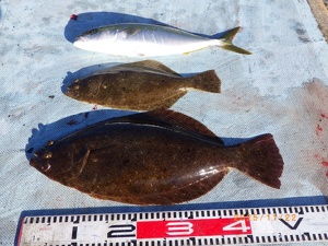
メインターゲットの ヒラメは40~59cm!
アタリは ボチボチ 出て、丁寧に食わせていただいて船中 0~4枚 と、状況を考えれば十分に楽しめる内容となりました。
トップ4枚とお見事!
さらに今日はゲスト魚も豊富で、キジハタ・ハマチ・ニベ も少々まじり、多魚種で賑やかな釣行に。
青物の走り、根魚の重量感、ヒラメの食い込み——
泳がせ釣りならではの醍醐味がたっぷり詰まった一日でした!
ゲストの皆さまも 大漁満足の笑顔 が印象的♫
天気よし、釣果よしで、気持ちの良い釣行となりました。
⭕️明日・第八・ヒラメ、青物コース

明日以降の出船予定

11月16日〜 6時〜6時30分までに受付、乗船して下さい【港6時50分出船】⭕️ヒラメ、青物コースは6時に席決めの抽選をします

定休日

  • 休船です

  • ウタセ五目コース 空き 第六
  • カワハギ、フグコース 空き 第五
  • ヒラメ、青物コース 空き 第八

  • ウタセ五目コース 空き 第六
  • カワハギ、フグコース 満席 第五
  • ヒラメ、青物コース 満席 第八

  • ウタセ五目コース 空き 第六
  • カワハギ、フグコース 満席 第五
  • ヒラメ、青物コース 満席 第八

  • ウタセ五目コース 空き 第六
  • カワハギ、フグコース 空き 第五
  • ヒラメ、青物コース 空き 第八

  • ウタセ五目コース 空き 第六
  • カワハギ、フグコース 空き 第五
  • ヒラメ、青物コース 空き 第八

  • カワハギ、フグコース 空き 第五
  • ヒラメ、青物コース 空き 第八

  • カワハギ、フグコース 空き 第五
  • ヒラメ、青物コース 空き 第八

  • カワハギ、フグコース 空き 第五
  • ヒラメ、青物コース 空き 第八

  •  第六 貸切
  • カワハギ、フグコース 満席 第五
  • ヒラメ、青物コース 満席 第八

  • ⭕️アジ五目コース 空き 第六
  • カワハギ、フグコース 空き 第五
  • ヒラメ、青物コース 空き 第八

ご予約はこちらから

ご予約、出船確認のお電話は夜8時までに御願いします。

Tel : 0569-63-0085