1. ホーム
  2. 釣果ブログ
  3. ヒラメ、青物コース

釣果ブログ

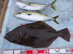
第八・一発の破壊力抜群!伊良湖沖でヒラメ・青物大型揃い!

本日は伊良湖沖へ、活きイワシ泳がせ釣りで出船。
天候は晴れで、沖のコンディションもまずまずの一日となりました。
ポイントではベイト反応がモリモリに映り、雰囲気は十分。
しかし肝心のアタリは少なく、バラシもあり、
惜しくもヒットをものにできなかった方もいて悔しい展開に。
そんなシビアな状況の中でも、見事チャンスを掴んだゲストはしっかり大型をキャッチ。
ヒラメは77㎝・5.3㎏、72㎝・4.2㎏と堂々のサイズが登場。
さらにブリ85㎝・6㎏も上がり、泳がせならではの迫力ある釣果となりました。
アタリは少ないものの、釣れればヒラメも青物も大型が期待できる伊良湖沖。
まさに一発勝負、緊張感のある泳がせ釣りを堪能できる一日でした。

⭕️活きイワシ泳がせ釣り、次回出船は【1月8日】予定です!
ベイト反応は良く、アタリは少なくても掛かれば大型が狙える展開が続いています。
座布団ヒラメ・ブリ狙いのチャンスあり!
一発逆転の大物勝負を楽しみたい方、ぜひチャレンジしてください。
空き状況の確認・ご予約はお早めに。皆さまのご乗船、お待ちしております!

第八・厳しい状況を打破!伊良湖沖で82㎝6.9㎏ヒラメ降臨!

本日も伊良湖沖へ、活きイワシ泳がせ釣りで出船しました。
天候は晴れ、海はベタ凪とコンディションは最高…でしたが、釣りはそう甘くありません。
各ポイントをあちこち探りながらの釣行。
魚探にはベイト反応がモリモリ映り、雰囲気は十分あるものの、肝心のアタリは少なく全体的に厳しい展開となりました。
そんな中、見事に結果を出してくれたのが82㎝・6.9㎏の特大ヒラメ‼
沈黙を破る価値ある一撃で、船上のテンションも一気に上昇。
さらに50㎝クラスのヒラメ、マゴチ60㎝もキャッチし、内容の濃い釣果となりました。
簡単には口を使ってくれない一日でしたが、だからこそ一本一本の価値は格別。
明日はさらに状況が好転することに期待して、大ヒラメ狙い続行です!
⭕️明日・第八・ヒラメ、青物コース

第八・沈黙を破る一発!ワラサ&シーバス80㎝キャッチ!!

本日は伊良湖沖へ活きイワシ泳がせ釣りで出船しました。
お一人様での釣行です。
朝から魚探にはベイト反応がモリモリ映り、雰囲気は抜群。
そして一投目からいきなりヒット!
上がってきたのはワラサ80㎝!!
幸先の良いスタートとなりました。
しかし、その後はアタリも遠のき長い沈黙の時間…。
反応はあるものの口を使わず、なかなか簡単にはいかない展開が続きました。
後半になってようやくチャンス到来。
しっかり食わせてシーバス80㎝を追加。
結果は、ワラサ80㎝を1本、シーバス80㎝を1本キャッチ。
数は伸びなかったものの、どちらも80㎝クラスの価値ある一本で、泳がせ釣りらしい内容の釣行となりました。
⭕️明日・第八・ヒラメ、青物コース

第八・一撃デカい!!伊良湖沖・活きイワシ泳がせでモンスター級捕獲!

本日は伊良湖沖へ活きイワシ泳がせ釣りで出船。
天候は晴れ☀、海況も良く、期待十分のスタートとなりました。
ポイントはベイト反応モリモリの一級エリア。
ヒラメ・青物を狙っての打ち込み釣行です。
ただし今日は少々テクニカル。
アタリ自体は少なめでしたが、ヒットすればほとんどが大型クラス!!
まさに「我慢の先にデカい一発」な展開。
結果は、
ヒラメは70㎝級が2枚、60㎝級が2枚と、いずれも迫力ある大型サイズをキャッチ。
さらに80㎝オーバーのランカーシーバスが3本に加え、85㎝のブリも1本浮上し、サイズ・引きともに申し分ない内容となりました。
数こそ多くはないものの、釣れた魚はどれも重量感抜群の大物揃いで、
伊良湖沖らしい“一発の夢”を存分に感じられる釣果となりました。
泳がせ釣りは一発の夢が大きい!!
明日も大型狙いでチャレンジしていきます。
⭕️明日・第八・ヒラメ、青物コース

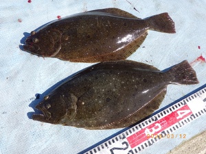
第八・難しい一日でも結果アリ!伊良湖沖でブリ・ヒラメ・シーバス!!

本日も伊良湖沖へ活きイワシ泳がせ釣りで出船。
天候は晴れ、風はやや強めでしたが、ポイント到着後の魚探反応は…
昨日同様、ベイト反応モリモリ!
しかし、見た目とは裏腹にアタリは少なく、なかなか簡単には口を使ってくれない展開。
食わせの間、タイミング、やり取り、すべてが試されるテクニカルな一日となりました。
そんな厳しい状況の中でも、90㎝・7.8㎏のブリを見事キャッチ!!
さらにヒラメは63㎝・49㎝の2枚、シーバスも80~85㎝クラスが2本と、出ればサイズは文句なしの迫力釣果!
一方で、痛恨のバラシやハリス切れもあり、「獲れていれば…」と悔しさが残る場面もありましたが、
それも含めて泳がせ釣りの奥深さ。
簡単ではないからこそ、掛けてから獲るまでの一尾の価値は格別!
次回はさらにリベンジ期待大です。
現在、ベイト反応は濃く、一発大物のチャンス十分!
ブリ・ヒラメ・シーバスと出ればサイズは文句なし。
挑戦者募集中!
ご予約・お問い合わせはお早めにお願いします。
⭕️明日・第八・ヒラメ、青物コース

第八・ベイト反応モリモリ…も食い渋り|伊良湖沖ヒラメ釣行!

本日は伊良湖沖へ、活きイワシ泳がせ釣りで出船。
天候は晴れでしたが、朝から強風が吹き、なかなかタフなコンディションとなりました。
ポイントに入るとベイト反応はモリモリ!
雰囲気は抜群でしたが、肝心の本命からのアタリは少なく、我慢の釣りに…。
そんな状況の中でも、しっかりチャンスをものにした方はヒラメをキャッチ!
サイズは40~50㎝クラスで、船中ではヒラメ2枚。
さらに60㎝のセイゴが1本上がり、完全ノーフィッシュは回避できました。
残念ながら型を見ることができなかった方もおり、全体的には難しい一日となりましたが、
「明日は状況が変わってくれることに期待!」と前向きに終了。
明日も伊良湖沖へ活きイワシ泳がせ釣りで出船予定です◎
本日は強風で食い渋りましたが、ベイト反応は終日モリモリ!
潮や風が落ち着けば、一気にチャンス拡大が期待できそうです。
リベンジ狙いの方、初挑戦の方も大歓迎!
皆さまのご予約・ご乗船お待ちしております。
⭕️明日・第八・ヒラメ、青物コース

第八・伊良湖沖、朝イチ時合いでブリ炸裂!ラストに75㎝ヒラメも登場!

本日は伊良湖沖へ活きイワシ泳がせ釣りで出船しました。
天候は曇り、海況はまずまずでしたが、全体的には食い渋い一日となりました。
それでも朝イチの時合いはチャンス到来!
ポイントに入ってすぐ、ブリが立て続けにヒット!!
サイズは90~95㎝・7~8㎏クラスと迫力満点で、船中合計4本をキャッチすることができました!
その後はアタリも遠のき、長い沈黙の時間…。
「今日はこのまま終了か?」と思われた終了間際、ここでドラマが待っていました♫
見事に浮上したのは、75㎝・5㎏の特大ヒラメ!
最後の最後で価値ある一枚が追加となりました。
全体的には簡単ではない一日でしたが、出れば大型、釣れれば価値ありの内容。
泳がせ釣りならではのスリルと一発の魅力を存分に味わえた釣行となりました。
今後も状況を見ながら出船していきますので、大型狙いの方はぜひチャレンジしてください◎ 
伊良湖沖の活きイワシ泳がせ釣りは、ブリ・ヒラメともにまだまだ大型狙いが期待できる状況です。
ご予約・お問い合わせはお早めに、皆さまのご乗船、お待ちしております。
⭕️明日・第八・ヒラメ、青物コース

第八・90cmブリに80cmヒラメ!伊良湖沖で大型乱舞!

本日は伊良湖沖へ 活きイワシ泳がせ釣り に出船!
しかも今日は贅沢なおひとり様釣行。
朝イチからベイト反応がしっかり映り、青物&ヒラメの活性も抜群。
仕掛けを落とせば テンポよくヒットが続く最高の展開 となりました~
釣果は圧巻!
ブリ90cm・7.3kgを筆頭に、ワラサ70cmが2本、さらにヒラメは80cm・6.5kgと65cmの良型2枚!
サイズ・迫力ともに申し分なしの大満足釣行です。
あまりにも釣れすぎて
「こんなに釣れて食べきれない!」
とのことで、本日は 早上がり となりました♫
伊良湖沖、泳がせ釣りは本当に夢がありますね!
大型狙いのチャンス、まだまだ続きそうです。
明日も伊良湖沖へ出船予定!
泳がせ釣りで 青物・ヒラメの大型狙い いきます◎
空きありますので、チャレンジャー募集中です!
ご予約・お問い合わせはお早めに。
⭕️明日・第八・ヒラメ、青物コース

第八・朝から激アツ!伊良湖沖 青物ラッシュ突入!

本日は伊良湖沖へ活きイワシ泳がせ釣りで出船しました。
天候は晴れ、朝から雰囲気抜群!
ポイント到着後、魚探にはベイト反応モリモリ。
開始早々からヒット連発で、いきなり青物ラッシュ突入!
上がってきたのは
・ブリ 80~90㎝ 最大7.9㎏
・ワラサ 70~75㎝ と、迫力満点サイズ
トップ釣果は3本、全体でも1~3本としっかり結果が出ました。
後半は潮が緩みペースダウン。
バラシやハリス切れも多発しましたが、それでも全員キャッチ成功!
大型青物の引きを存分に味わっていただけました。
ゲストの皆さんも「この引きはたまらない!」と、大型青物をしっかり堪能。
伊良湖沖・活きイワシ泳がせ釣り、好調につき今後も出船予定です!
ベイト反応次第で青物チャンス十分!ブリ・ワラサ狙いは今が面白い時期。
初心者の方も全力サポートしますので安心してご参加ください。
ご予約・お問い合わせはお早めに!
⭕️明日・第八・ヒラメ、青物コース

第八・青物爆裂‼ 朝からボッコボコ!最大ブリ90㎝8.4㎏!

本日は伊良湖沖へ活きイワシ泳がせ釣りで出船。
天候は晴れ、絶好の釣り日和となりました。
そして今日は…
朝から青物の活性が爆上がり♫
ポイント到着直後からヒット連発‼
まさにボッコボコ状態で、船中あちこちで竿が曲がりっぱなし♫
上がってきたのはブリ・ワラサ中心に良型揃い!
最大はブリ90㎝・8.4㎏‼次点でも7.0㎏と、重量感抜群の迫力サイズ。
さらにヒラメ67㎝も顔を見せ、トップは6本、全体でも0~6本と内容の濃い釣果になりました。
サイズは
・ブリ 80~90㎝
・ワラサ 70~75㎝
と、どれも引き応え十分。
青物の強烈な引きに船上は終始大盛り上がり◎
「腕パンパン!」「これは楽しい!」と皆さん大満足の一日となりました。
伊良湖沖・活きイワシ泳がせ釣り出船中!
現在、青物の活性が一気に上昇。
ブリ・ワラサのヒット連発で、大型・重量級が狙える絶好のタイミングです。
強烈な引きとスリル満点のファイトは今がチャンス!
初心者の方もサポートしますので安心してご乗船ください。ご予約・お問い合わせお待ちしております♫
⭕️次回・1/27(火)・第八・ヒラメ、青物コース

明日以降の出船予定

1月 6時頃受付、6時30分までには乗船して下さい(6時50分港出船) ⭕️2月より コウイカコース 募集中

休船

  • 各コース休船します

  • メバル、カサゴコース 空き 第六
  • フグコース 空き 第五
  • ヒラメ、青物コース 空き 第八

  • メバル、カサゴコース 空き
  • フグコース 空き
  • ヒラメ、青物コース 空き

  • メバル、カサゴコース 空き
  • フグコース 空き
  • ヒラメ、青物コース 空き
  • コウイカコース 空き

休船

  • 各コース休船します

  • メバル、カサゴコース 空き
  • フグコース 空き
  • ヒラメ、青物コース 空き
  • コウイカコース 空き

  • メバル、カサゴコース 空き
  • フグコース 空き
  • ヒラメ、青物コース 空き

  • フグコース 空き
  • ヒラメ、青物コース 空き
  • コウイカコース 空き

ご予約はこちらから

ご予約、出船確認のお電話は夜8時までに御願いします。

Tel : 0569-63-0085