1. ホーム
  2. 釣果ブログ
  3. ヒラメ、青物コース
  4. 第八・伊良湖沖で良型ヒラメ&オオモンハタ登場!潮動いてから連発!

釣果ブログ

第八・伊良湖沖で良型ヒラメ&オオモンハタ登場!潮動いてから連発!

本日は伊良湖沖へ 活きイワシ泳がせ釣り で出船しました!
朝から気持ちよく晴れて、海も穏やか。最高の釣り日和でしたが——
海の中はなかなか厳しいスタートでした。
前半は潮がまったく動かずアタリもゼロ。
仕掛けを入れてもイワシが元気に泳ぐだけで、ヒラメの気配がまるでなし…。
皆さんじっくり辛抱の時間となりました。
しかし!後半に入ると状況が一変。
ようやく 潮が流れ始めると同時にアタリが出始め、そこからポツリポツリとヒット!
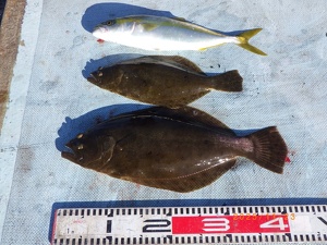
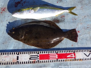
トップはオオモンハタ 3匹、ヒラメ 2枚とバッチリ釣果をまとめてくれました♫
全体としてもヒラメは 0〜2枚、サイズは 40〜55cm のヒラメ、
そして 35〜45cm のオオモンハタ と、見栄えも良くお土産としては十分なラインナップ!
潮が動き出してからの“来るぞ来るぞ”という雰囲気、
そしてヒラメ特有の「グンッ」と食い込むアタリはやっぱりたまりませんね。
本日もご乗船いただきありがとうございました!
またの挑戦をお待ちしております。
⭕️明日・第八・ヒラメ、青物コース

明日以降の出船予定

11月16日〜 6時〜6時30分までに受付、乗船して下さい【港6時50分出船】⭕️ヒラメ、青物コースは6時に席決めの抽選をします

定休日

  • 休船です

  • ウタセ五目コース 空き 第六
  • カワハギ、フグコース 空き 第五
  • ヒラメ、青物コース 空き 第八

  • ウタセ五目コース 空き 第六
  • カワハギ、フグコース 満席 第五
  • ヒラメ、青物コース 満席 第八

  • ウタセ五目コース 空き 第六
  • カワハギ、フグコース 満席 第五
  • ヒラメ、青物コース 満席 第八

  • ウタセ五目コース 空き 第六
  • カワハギ、フグコース 空き 第五
  • ヒラメ、青物コース 空き 第八

  • ウタセ五目コース 空き 第六
  • カワハギ、フグコース 空き 第五
  • ヒラメ、青物コース 空き 第八

  • カワハギ、フグコース 空き 第五
  • ヒラメ、青物コース 空き 第八

  • カワハギ、フグコース 空き 第五
  • ヒラメ、青物コース 空き 第八

  • カワハギ、フグコース 空き 第五
  • ヒラメ、青物コース 空き 第八

  •  第六 貸切
  • カワハギ、フグコース 満席 第五
  • ヒラメ、青物コース 満席 第八

  • ⭕️アジ五目コース 空き 第六
  • カワハギ、フグコース 空き 第五
  • ヒラメ、青物コース 空き 第八

ご予約はこちらから

ご予約、出船確認のお電話は夜8時までに御願いします。

Tel : 0569-63-0085