1. ホーム
  2. 釣果ブログ

釣果ブログ

明日 14日(土)出船コース

3月まで 朝6時〜6時30分までに受付、乗船して下さい 6時50分出船
只今このコースの中から出船中です
【中物乗合船】9,000円 
⭕️フグコース      かっとう仕掛け、オモリ30号
⭕️メバル、カサゴコース (カサゴ、メバル等)
⭕️コウイカコース   
【ヒラメ乗合船】14,000円 
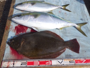
⭕️ヒラメ、青物コース  活きイワシのエサ付き

ーーーーーーーーーーーーー
ご予約、お問い合わせ等の電話は 夜8時までにお願いします

第六・ポツポツ拾い釣りで数伸びる!伊良湖沖カサゴ釣りトップ23匹!

今日は伊良湖沖へメバル・カサゴ釣りで出船しました。

朝から曇り空で少し肌寒い一日でしたが、海は比較的穏やかで釣りやすいコンディション。
潮の流れも緩く、じっくりとポイントを攻めながらの釣行となりました。
今日は深場のポイントを中心にカサゴメインで狙っていきました。
アタリは終日ボチボチあり、ポツポツと拾い釣りの展開。派手な連発こそありませんでしたが、コンスタントに竿が曲がり皆さん順調に数を伸ばしていきました。
釣れてくるカサゴはサイズが良く、16~24㎝の良型揃い!
お土産としては十分すぎる内容で、トップは23匹!
全体でも15~23匹と皆さんしっかり釣れてクーラーも賑やかになりました。
カサゴは煮付け・唐揚げ・味噌汁などどんな料理でも美味しい人気魚。良型が多いので食べ応えもバッチリですね!
ご乗船ありがとうございました!

メバル・カサゴ釣り 出船中!
今が美味しいカサゴシーズン!
初心者の方でも楽しめてお土産も期待できる人気の釣り物です。
良型カサゴが狙えるチャンス!皆さまのご予約お待ちしております!
⭕️明日・第六・メバル、カサゴコース

第八・朝イチ全員ヒットも…その後は苦戦!伊良湖沖コウイカ釣り!

今日は伊良湖沖へコウイカ釣りで出船しました。

朝イチの流しからいきなりヒット連発!
なんと全員キャッチ成功!
これは今日はいい感じかも…と思いましたが、コウイカ釣りはそう甘くありませんでした。
その後はコウイカの触りがかなり少なくなり、なかなか追加ができない難しい展開。
ポイントを探りながら粘ってみましたが、ポツリポツリと単発ヒットがある程度で数はなかなか伸びませんでした。

それでも皆さんしっかりコウイカをゲットして
トップ3杯、全体で1~3杯。
胴長20㎝前後の肉厚コウイカで、食べても抜群に美味しいサイズです!
コウイカは乗った瞬間のズシッとした重量感がたまらない人気の釣り物。
渋い日もありますが、その分釣れた時の嬉しさは格別ですね。

ご乗船ありがとうございました!

第五・朝は苦戦も湾内で挽回!フグ釣りまだ楽しめます!

今日はフグ釣りで出船しました。
お一人様でのご乗船ありがとうございます。

朝は伊良湖沖のポイントからスタートしましたが、なかなかアタリが出ず少し厳しい状況。
早めに見切りをつけて湾内のポイントへ移動することにしました。

ポイントを変えるとこちらはアタリがあり、ポツリポツリと拾い釣りの展開。
派手な連発こそありませんでしたが、コンスタントにフグが上がりなんとかお土産を確保することができました。
トップ11匹!
コモンフグ主体でサイズは様々ですが、フグ料理には十分な釣果。なんとか形になってホッとしました。
フグ釣りもいよいよ終盤戦に突入中!
ラストスパート、まだまだ狙っていきますよ!

ご乗船ありがとうございました。

フグ釣り 出船中!
シーズン終盤ですが、まだまだ楽しめるフグカットウ釣り!
フグ料理は刺身・唐揚げ・鍋などどれも絶品です。
終盤戦のラストチャンス!ぜひチャレンジお待ちしております!
⭕️明日・第五・フグコース

第六・深場カサゴ狙いで好調キープ!トップ30匹で大漁満足!

伊良湖沖へメバル・カサゴ釣りで出船しました。

今日は一日を通して潮の流れも緩やかで、釣りやすい好コンディション。
深場をメインに狙っていきました。
カサゴのアタリはそこそこあり、ポツポツと拾い釣りで数を重ねていく展開。
派手な連発こそありませんでしたが、コンスタントに釣れ続きトップは30匹!全体でも20~30匹とお土産はバッチリ確保できました。
サイズも16~24cmと良型混じりで、食べ頃サイズが揃いました。メバルの顔は見られませんでしたが、カサゴがしっかり釣れて皆さんクーラーも賑やかに。
釣りやすいコンディションの中、皆さん上手くアタリを拾っていただき大漁満足の一日となりました!

明日もメバル・カサゴ釣りで出船予定です!凪予報でコンディションも良さそうです。
カサゴは安定して釣れてお土産確保しやすい状況ですので、初心者の方にもおすすめですよ♫
空きありますのでぜひチャレンジお待ちしています!
⭕️明日・第六・メバル、カサゴコース

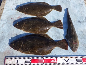
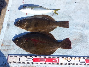
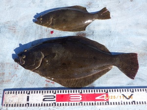
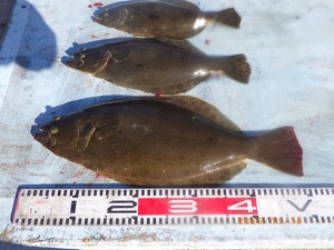
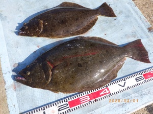
第八・大山沖ヒラメ狙い!トップ2枚キャッチもアタリ少なく難しい一日!

大山沖へ活きイワシ泳がせ釣りで出船しました。

昨日同様に漁礁周りをじっくりと狙っていきました。
今日は昨日より潮も流れていて雰囲気は悪くない状況。
期待してポイントを流しましたが、ヒラメからのアタリはなかなか出ず全体的に静かな時間が多い展開でした。

それでもチャンスをしっかりモノにした方がヒラメ45~50㎝をキャッチ!トップは2枚となりました。
ただ今日はアタリ自体が少なく、残念ながら型を見ることができなかった方もいて難しい一日でした。
ヒラメ釣りは一発勝負の釣りなので、その一瞬のチャンスをものにできるかが勝負ですね。
また潮や状況次第でガラッと変わることも多いので、引き続き狙っていきます!

明日はコウイカ釣り出船します!
春の人気ターゲット「コウイカ」シーズン開幕中です。
肉厚で甘みのあるコウイカは食味抜群!釣って楽しく食べて美味しい人気の釣り物です。
コウイカが乗った瞬間のズシッとくる重量感はやみつきになりますよ!
エギのカラーや誘い方がハマると連続ヒットも期待できます。
初心者の方も大歓迎ですのでぜひチャレンジしてみてください。
ご予約お待ちしております!
⭕️明日・第八・コウイカコース

第五・渋いながらもフグ顔見え!伊良湖沖フグカットウ釣り!

今日は伊良湖沖へフグ釣りで出船しました。

ポイントは浅場の根回りを中心に狙っていきましたが、今日はフグのご機嫌がいまひとつ…。
朝からアタリが少なく、なかなか口を使ってくれない厳しい状況でした。

それでも根回りをじっくり探っていくと、ポツン…ポツン…と単発でヒット。
いいタイミングでアタリを捉えた方はしっかりフグをキャッチしていました。

ただ、群れがまとまらないのか連発する場面はなく、拾い釣りの展開で数はなかなか伸びず。
それでも コモンフグはサイズ様々、ヒガンフグは良型 が顔を見せてくれました。

フグカットウ釣りはアタリを掛けていくゲーム性が魅力。
今日は少し難しいコンディションでしたが、その分 掛かった瞬間の楽しさは格別ですね!

今後の状況好転に期待です!

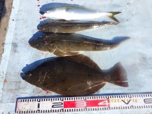
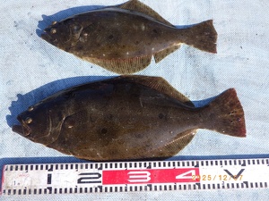
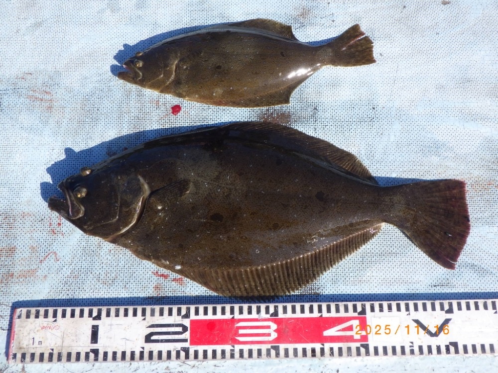
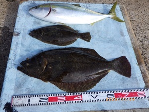
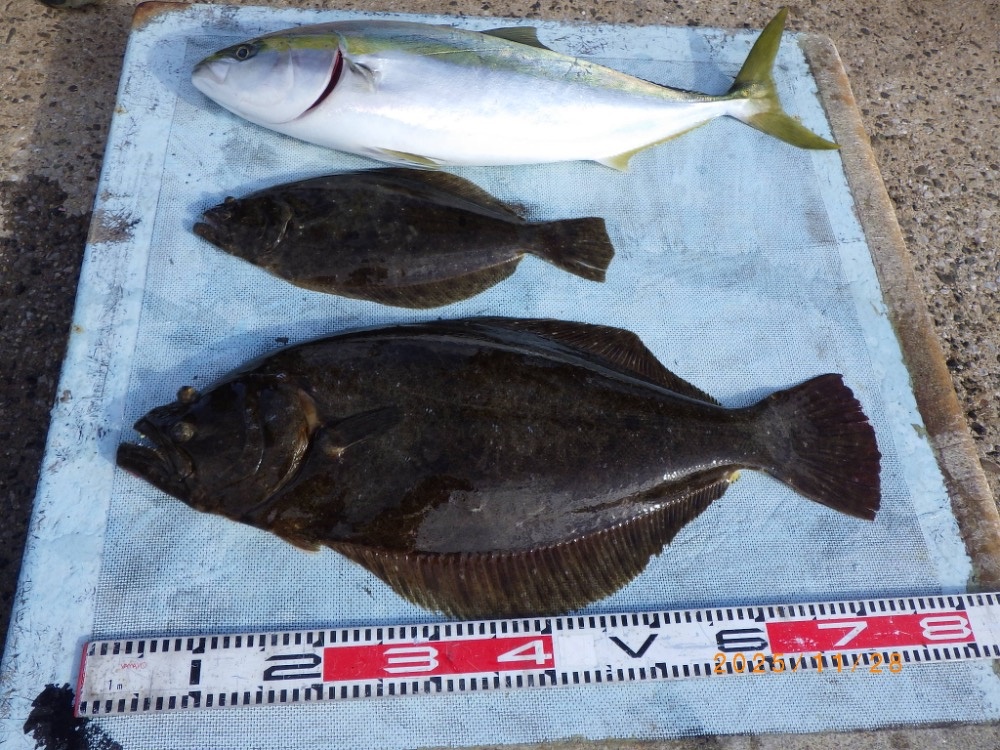
第八・潮動かずも本命ヒラメ66cm登場!大山沖泳がせ釣り!

今日は大山沖へ活きイワシの泳がせ釣りで出船しました。

朝から海は穏やかで釣り日和でしたが、肝心の潮がまったく動かずなかなか厳しい状況…。
ベイトの反応も薄く、漁礁周りをネチネチと丁寧に探りながらの展開となりました。
アタリは少なめで沈黙の時間も長く、「今日はなかなか難しいなぁ…」という雰囲気の船上。
それでも諦めずに粘っていると、ついに待望のヒット!
上がってきたのは 良型ヒラメ66cm!
難しい状況の中での価値ある一枚に船上もホッと一安心でした♫
その後は ワニゴチ50cm、さらに 良型カサゴ27~29cm も顔を見せてくれてお土産は確保。

潮が動かない状況でアタリも少なく苦戦しましたが、なんとか本命のヒラメが見れて良かったです。
泳がせ釣りは状況によって難しい日もありますが、
ヒットした瞬間のあのドキドキ感はやっぱり格別ですね!
今後の潮変わりに期待です!
⭕️明日・第八・ヒラメ、青物コース

第六・凪の伊良湖沖でカサゴ好調!トップ25匹でお土産十分!

今日は伊良湖沖へメバル・カサゴ釣りで出船しました。

海は穏やかで凪、小潮で潮の流れも緩く とても釣りやすいコンディション。
朝から岩礁周りを中心に狙っていきました。
仕掛けを入れると アタリはぼちぼちあり、ポツポツと拾い釣りの展開。
派手な連発はないものの、コンスタントに魚が上がり船上もいい雰囲気。

今日は カサゴ主体の釣果となりましたが、サイズは 16~24cm とまずまず。
トップの方で 25匹、全体でも 11~25匹 と皆さんお土産は十分確保できました。
カサゴはアタリも明確で釣って楽しく、食べても美味しい人気のターゲット。
煮付けや唐揚げ、味噌汁などどんな料理でも美味しい魚なので、
ぜひ美味しく召し上がってくださいね♫

穏やかな海でのんびり楽しめた一日でした!

明日もメバル・カサゴ釣り出船予定です!
凪の日はチャンス!
カサゴは初心者の方でも釣りやすく、食べても最高に美味しい魚です。
空きありますので チャレンジお待ちしております!
⭕️明日・第六・メバル、カサゴコース

第六・強風のため師崎沖でカサゴ狙い!お土産はしっかり確保!

今日はメバル・カサゴ狙いで出船しましたが、沖はかなりの強風…。
安全を考えて伊良湖沖は断念し、風裏になる師崎沖での釣行となりました。

ポイントに到着して仕掛けを投入するも、今日は魚のご機嫌がいまひとつ。
アタリは少なめで、なかなか数が伸びない展開でした。

それでもカサゴを中心にポツポツと拾い釣り。
根回りをじっくり攻めながら丁寧に誘いを入れていくと、時折「ゴンッ」とカサゴらしいアタリが出てくれました。

今日はメバルの姿は見られませんでしたが、カサゴは15~20㎝サイズが中心でお土産はしっかり確保。
風の強い中でしたが最後まで頑張っていただきありがとうございました。

またメバルの機嫌が良くなるタイミングもありそうなので今後に期待ですね!

明日もメバル・カサゴ出船予定です!
まだ空きありますのでチャレンジャーお待ちしてます。
⭕️明日・第六・メバル、カサゴコース

明日以降の出船予定

3月まで 朝6時〜6時30分までに受付、乗船して下さい 6時50分出船

  • メバル、カサゴコース 空き 第六
  • フグコース  空き 第五
  • ヒラメ、青物コース 空き 第八

  • メバル、カサゴコース 空き
  • フグコース  空き
  • コウイカコース 空き

  • メバル、カサゴコース 空き
  • フグコース  空き
  • コウイカコース 空き

  • メバル、カサゴコース 空き
  • フグコース  空き
  • コウイカコース 空き

  • メバル、カサゴコース 空き
  • フグコース  空き
  • コウイカコース 空き

ご予約はこちらから

ご予約、出船確認のお電話は夜8時までに御願いします。

Tel : 0569-63-0085