1. ホーム
  2. 釣果ブログ
  3. ヒラメ、青物コース
  4. 第八・活きイワシ泳がせ、難しい一日。それでも魚は魅せてくれました!

釣果ブログ

第八・活きイワシ泳がせ、難しい一日。それでも魚は魅せてくれました!

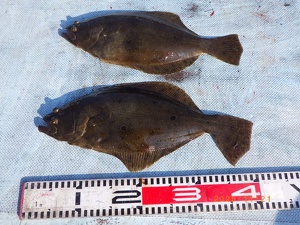
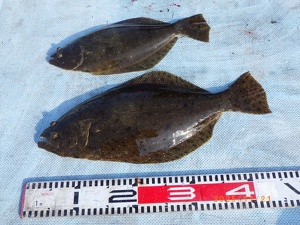
本日は伊良湖沖へ 活きイワシ泳がせ釣り で出船しました!
天気は晴れで海況も穏やか。ただ、今日はなかなか厳しい一日となりました…。
というのも、前日好調だったポイントはアタリが極端に少なく、どの流しでも食い渋りが続く難しい状況。
それでも船中では 40cm前後の良型が0~3枚 上がり、トップの方は見事に3枚キャッチ!
渋い中で食わせた魚はやはり価値が違います!!
アタリは少なかったものの、「難しいけど、この一枚が嬉しい!」とゲストの皆さまからも前向きな声が聞こえ、
最後まで集中して楽しんでいただけた様子でした。
また状況が上向くタイミングで挑戦したいところですね!
本日もご乗船ありがとうございました♫
⭕️明日・第八・ヒラメ、青物コース

明日以降の出船予定

11月16日〜 6時〜6時30分までに受付、乗船して下さい【港6時50分出船】⭕️ヒラメ、青物コースは6時に席決めの抽選をします

定休日

  • 休船です

  • ウタセ五目コース 空き 第六
  • カワハギ、フグコース 空き 第五
  • ヒラメ、青物コース 空き 第八

  • ウタセ五目コース 空き 第六
  • カワハギ、フグコース 満席 第五
  • ヒラメ、青物コース 満席 第八

  • ウタセ五目コース 空き 第六
  • カワハギ、フグコース 満席 第五
  • ヒラメ、青物コース 満席 第八

  • ウタセ五目コース 空き 第六
  • カワハギ、フグコース 空き 第五
  • ヒラメ、青物コース 空き 第八

  • ウタセ五目コース 空き 第六
  • カワハギ、フグコース 空き 第五
  • ヒラメ、青物コース 空き 第八

  • カワハギ、フグコース 空き 第五
  • ヒラメ、青物コース 空き 第八

  • カワハギ、フグコース 空き 第五
  • ヒラメ、青物コース 空き 第八

  • カワハギ、フグコース 空き 第五
  • ヒラメ、青物コース 空き 第八

  •  第六 貸切
  • カワハギ、フグコース 満席 第五
  • ヒラメ、青物コース 満席 第八

  • ⭕️アジ五目コース 空き 第六
  • カワハギ、フグコース 空き 第五
  • ヒラメ、青物コース 空き 第八

ご予約はこちらから

ご予約、出船確認のお電話は夜8時までに御願いします。

Tel : 0569-63-0085