1. ホーム
  2. 釣果ブログ
  3. ヒラメ、青物コース
  4. 第八・根回り攻略でヒラメキャッチ!伊良湖沖泳がせ釣り!

釣果ブログ

第八・根回り攻略でヒラメキャッチ!伊良湖沖泳がせ釣り!

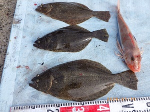
本日は伊良湖沖へ活きイワシ泳がせ釣りで出船しました。
天候は晴れ、海況も凪とコンディションは上々。
根回りを中心にじっくりとポイントを攻め、一日を通してアタリはボチボチ。
連発とはいきませんでしたが、ポツリポツリと拾い釣りでヒラメをキャッチする展開となりました。
釣果はトップ4枚、全体でも0~4枚。
サイズは38~60cmと食べごろから良型まで揃い、しっかりお土産を確保できました。
アタリはあるものの掛けきれず、惜しくもチャンスを逃してしまった方も。
それでも、ヒラメ特有のアタリから食い込むまでの駆け引きを存分に楽しめる一日でした。
ご乗船の皆さんからは
「ヒラメ釣りをしっかり堪能できて満足!」との声♫
条件次第では、今後もまだまだ期待できそうです!
一発良型も期待できるシーズンですので、ぜひチャレンジしてみてください!
空きありますので、ご予約・お問い合わせお待ちしております。
⭕️明日・第八・ヒラメ、青物コース

明日以降の出船予定

12月 6時〜6時30分までに受付、乗船して下さい【港6時50分出船】⭕️ヒラメ、青物コースは6時に席決めの抽選をします

各コース空き多数

  • メバル、カサゴコース 空き 第六
  • フグコース 満席 第五
  • ヒラメ、青物コース 空き 第八

各コース空き多数

  • メバル、カサゴコース 空き 第六
  • フグコース 空き 第五
  • ヒラメ、青物コース 空き 第八 

各コース空き多数

  • メバル、カサゴコース 空き 第六
  • フグコース 空き 第五
  • ヒラメ、青物コース 空き 第八 

各コース空き多数

  • メバル、カサゴコース 空き 第六
  • フグコース 空き 第五
  • ヒラメ、青物コース 空き 第八

各コース空き多数

  • メバル、カサゴコース 空き 第六
  • フグコース 空き 第五
  • ヒラメ、青物コース 空き 第八

各コース空き多数

  • メバル、カサゴコース 空き 第六
  • フグコース 空き 第五
  • ヒラメ、青物コース 空き 第八 

各コース空き多数

  • メバル、カサゴコース 空き 第六
  • フグコース 空き 第五
  • ヒラメ、青物コース 空き 第八

各コース空き多数

  • メバル、カサゴコース 空き 第六
  • フグコース 空き 第五
  • ヒラメ、青物コース 空き 第八

ご予約はこちらから

ご予約、出船確認のお電話は夜8時までに御願いします。

Tel : 0569-63-0085