1. ホーム
  2. 釣果ブログ
  3. ヒラメ、青物コース
  4. 第八・師崎沖、チャンスは一瞬!泳がせ釣りで70㎝含む良型ヒラメキャッチ!

釣果ブログ

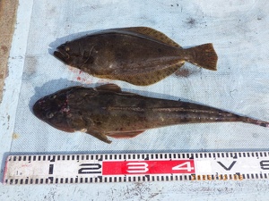
第八・師崎沖、チャンスは一瞬!泳がせ釣りで70㎝含む良型ヒラメキャッチ!

本日は風裏となる師崎沖で、活きイワシを使った泳がせ釣りへ出船してきました!
朝から晴れて釣り日和でしたが、 序盤は流れに乗り切れずアタリも沈黙…。
なかなか厳しいスタートとなりました。
しかし!
潮が変わった後半戦で状況が一変。
わずかなチャンスをしっかりモノにした方に 肉厚の良型ヒラメがヒット!
今回は最大 70cm を筆頭に、50~60cm級の良型ヒラメが揃い、トップ3枚!
全体釣果は0~3枚と厳しい時間もありましたが、掛かれば文句なしの良型揃い。
釣れた瞬間はもちろん、ゲストの皆さんも 「これは分厚い!」 と大興奮の一日でした。
渋いながらも“後半の時合をどう活かすか”が勝負となる、まさに泳がせ釣りらしい展開。
狙い通りの一枚が出るとやはり最高ですね!
また海況が整えば、さらなる良型も期待できそうです。
明日もお楽しみに♫
⭕️明日・第八・ヒラメ、青物コース

明日以降の出船予定

3月まで 朝6時〜6時30分までに受付、乗船して下さい 6時50分出船

各コース空き多数

  • メバル、カサゴコース 空き 第六
  • フグコース  空き 第五
  • ヒラメ、青物コース 休船

各コース空き多数

  • メバル、カサゴコース 空き
  • フグコース  空き
  • コウイカコース 空き
  • ヒラメ、青物コース 空き

  • メバル、カサゴコース 空き
  • フグコース  空き
  • コウイカコース 空き
  • ヒラメ、青物コース 空き

  • メバル、カサゴコース 空き
  • フグコース  空き
  • コウイカコース 空き
  • ヒラメ、青物コース 空き

  • メバル、カサゴコース 空き
  • フグコース  空き
  • コウイカコース 空き
  • ヒラメ、青物コース 空き

  • メバル、カサゴコース 空き
  • フグコース  空き
  • コウイカコース 空き
  • ヒラメ、青物コース 空き

  • メバル、カサゴコース 空き
  • フグコース  空き
  • コウイカコース 空き
  • ヒラメ、青物コース 空き

  • メバル、カサゴコース 空き
  • フグコース  空き
  • コウイカコース 空き
  • ヒラメ、青物コース 空き

ご予約はこちらから

ご予約、出船確認のお電話は夜8時までに御願いします。

Tel : 0569-63-0085