1. ホーム
  2. 釣果ブログ
  3. ヒラメ、青物コース
  4. 第八・大逆転!師崎沖で特大ヒラメ登場!最大73cm

釣果ブログ

第八・大逆転!師崎沖で特大ヒラメ登場!最大73cm

本日は伊良湖沖からスタートし、活きイワシ泳がせ釣りで出船しました!
天候は晴れで海況も良く、絶好のヒラメ日和…のはずでしたが、朝の伊良湖沖はアタリがほぼゼロ。
反応も薄く、かなり厳しい立ち上がりに。
そこで後半は思い切ってポイントを師崎沖へ大移動!
すると、この判断が大正解でした◎
師崎沖に着くと ベイト反応がモリモリ。
明らかに雰囲気が違う海で仕掛けを投入すると…
ドスン!!
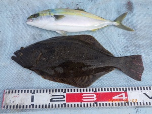
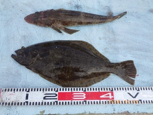
まずは本日最大となる 73cm座布団級ヒラメ が登場!
さらに続けて 60cm、50cm と良型がヒット!
どれも肉厚で、まさに“冬のヒラメ”らしい迫力と重量感。
全体釣果は0〜3枚と渋さは残りましたが、アタリの少ない中で結果を出した皆さん、本当にお見事でした。
ゲストの皆さんも大きなヒラメを見て 「夢が膨らむねぇ!」 と大興奮♫
冬型の気圧配置に入る明日以降は、さらに 特大ヒラメのチャンス濃厚 です!
⭕️明日・第八・ヒラメ、青物コース

明日以降の出船予定

3月まで 朝6時〜6時30分までに受付、乗船して下さい 6時50分出船

各コース空き多数

  • メバル、カサゴコース 空き 第六
  • フグコース  空き 第五
  • ヒラメ、青物コース 休船

各コース空き多数

  • メバル、カサゴコース 空き
  • フグコース  空き
  • コウイカコース 空き
  • ヒラメ、青物コース 空き

  • メバル、カサゴコース 空き
  • フグコース  空き
  • コウイカコース 空き
  • ヒラメ、青物コース 空き

  • メバル、カサゴコース 空き
  • フグコース  空き
  • コウイカコース 空き
  • ヒラメ、青物コース 空き

  • メバル、カサゴコース 空き
  • フグコース  空き
  • コウイカコース 空き
  • ヒラメ、青物コース 空き

  • メバル、カサゴコース 空き
  • フグコース  空き
  • コウイカコース 空き
  • ヒラメ、青物コース 空き

  • メバル、カサゴコース 空き
  • フグコース  空き
  • コウイカコース 空き
  • ヒラメ、青物コース 空き

  • メバル、カサゴコース 空き
  • フグコース  空き
  • コウイカコース 空き
  • ヒラメ、青物コース 空き

ご予約はこちらから

ご予約、出船確認のお電話は夜8時までに御願いします。

Tel : 0569-63-0085