1. ホーム
  2. 釣果ブログ
  3. ヒラメ、青物コース
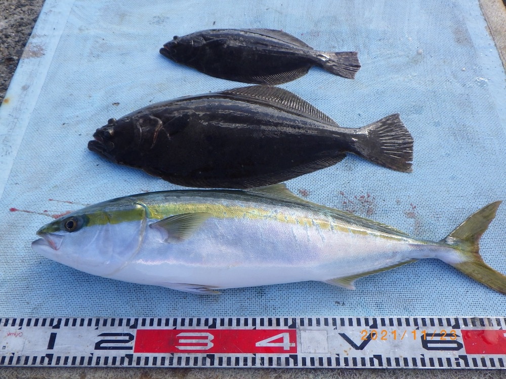
  4. 第八・師崎沖、ヒラメ・青物2本立てキャッチ!

釣果ブログ

第八・師崎沖、ヒラメ・青物2本立てキャッチ!

ドキドキワクワクが盛りだくさんのヒラメ・青物釣りへ…
沖合ポイントから師崎沖へと探りながらの釣行でしたが、大物魚の活性上がらず難しい一日でした~
明日も大物魚狙いへ、ヒラメ・青物等です☆
⭕明日・第八・ヒラメ、青物コース

明日以降の出船予定

12月 6時〜6時30分までに受付、乗船して下さい【港6時50分出船】⭕️ヒラメ、青物コースは6時に席決めの抽選をします

各コース空き多数

  • アジ五目コース 空き 第六
  • フグコース 空き 第五
  • ヒラメ、青物コース 空き 第八

各コース空き多数

  • アジ五目コース 空き 第六
  • フグコース 空き 第五
  • ヒラメ、青物コース 空き 第八

各コース空き多数

  • アジ五目コース 空き 第六
  • フグコース 空き 第五
  • ヒラメ、青物コース 空き 第八

各コース空き多数

  • アジ五目コース 空き 第六
  • フグコース 空き 第五
  • ヒラメ、青物コース 空き 第八

  • アジ五目コース 空き 第六
  • フグコース 空き 第五
  • ヒラメ、青物コース 【空1】 第八

  • アジ五目コース 空き 第六
  • フグコース 満席 第五
  • ヒラメ、青物コース 満席 第八

  • アジ五目コース 空き 第六
  • フグコース 満席 第五
  • ヒラメ、青物コース 満席 第八

  • アジ五目コース 空き 第六
  • フグコース 空き 第五
  • ヒラメ、青物コース 満席 第八

  • フグコース 空き 第五
  • ヒラメ、青物コース 空き 第八

  • アジ五目コース 空き 第六
  • フグコース 空き 第五
  • ヒラメ、青物コース 空き 第八

  • アジ五目コース 空き 第六
  • フグコース 空き 第五
  • ヒラメ、青物コース 空き 第八

ご予約はこちらから

ご予約、出船確認のお電話は夜8時までに御願いします。

Tel : 0569-63-0085