1. ホーム
  2. 釣果ブログ
  3. カワハギ、フグコース
  4. 第八・カワハギ快竿!カワハギ&フグ乱舞!

釣果ブログ

第八・カワハギ快竿!カワハギ&フグ乱舞!

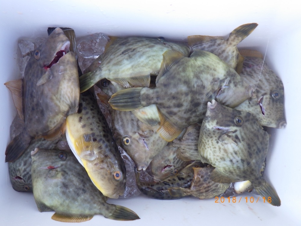
味覚のカワハギ、フグ本格シーズン!!
繰り広げる攻防、狙うは大判カワハギです
カワハギを狙いながらヒガンフグもゲット〜
型揃いのカワハギがコンスタントにヒット!数も釣れました…
カワハギは引き味抜群でした・夕食の友にカワハギ、フグのフルコースです
⭕️明日・第八、カワハギ、フグコース出船

明日以降の出船予定

1月 6時頃受付、6時30分までには乗船して下さい(6時50分港出船)

各コース空き多数

  • メバル、カサゴコース 空き 第六
  • フグコース 空き 第五
  • ヒラメ、青物コース 空き 第八

各コース空き多数

  • メバル、カサゴコース 空き 第六
  • フグコース 空き 第五
  • ヒラメ、青物コース 空き 第八

各コース空き多数

  • メバル、カサゴコース 空き 第六
  • フグコース 空き 第五
  • ヒラメ、青物コース 空き 第八

各コース空き多数

  • メバル、カサゴコース 空き 第六
  • フグコース 空き 第五
  • ヒラメ、青物コース 空き 第八

各コース空き多数

  • メバル、カサゴコース 空き 第六
  • フグコース 空き 第五
  • ヒラメ、青物コース 空き 第八

  • メバル、カサゴコース 空き 第六
  • フグコース 空き 第五
  • ヒラメ、青物コース 空き 第八

  • メバル、カサゴコース 空き 第六
  • フグコース 空き 第五
  • ヒラメ、青物コース 空き 第八

  • メバル、カサゴコース 空き 第六
  • フグコース 空き 第五
  • ヒラメ、青物コース 空き 第八

  • メバル、カサゴコース 空き 第六
  • フグコース 空き 第五
  • ヒラメ、青物コース 空き 第八

  • メバル、カサゴコース 空き 第六
  • フグコース 空き 第五
  • 【ヒラメ、青物コース 休船】

  • メバル、カサゴコース 空き 第六
  • フグコース 空き 第五
  • 【ヒラメ、青物コース 休船】

  • メバル、カサゴコース 空き 第六
  • フグコース 空き 第五
  • ヒラメ、青物コース 空き 第八

ご予約はこちらから

ご予約、出船確認のお電話は夜8時までに御願いします。

Tel : 0569-63-0085