1. ホーム
  2. 釣果ブログ
  3. メバル、カサゴコース
  4. 第六・黒い宝石メバル好釣果ゲット〜!

釣果ブログ

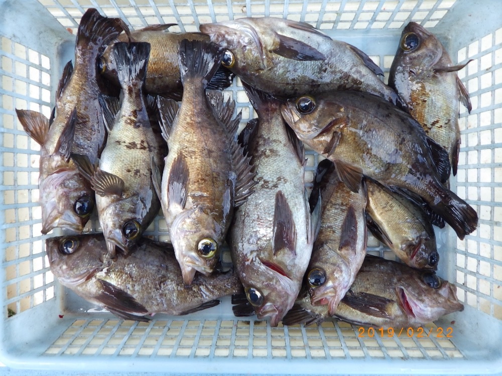
第六・黒い宝石メバル好釣果ゲット〜!

春陽気に大メバル狙いからスタートしました…!!
海に中はすでに春です、春告魚が広いエリアで釣れ出し中です
アチコチの好ポイントを転々と廻りながらのジアイ待ちです
良型サイズのメバルがコンスタントに釣れました
只今、極旨メバル大好評です・釣ってよし、食べてさらによし…
⭕️明日・第六・メバル、カサゴコース出船

明日以降の出船予定

12月 6時〜6時30分までに受付、乗船して下さい【港6時50分出船】⭕️ヒラメ、青物コースは6時に席決めの抽選をします

  • アジ五目コース 空き 第六
  • フグコース 空き 第五
  • ヒラメ、青物コース 満席 第八

  • アジ五目コース 空き 第六
  • フグコース 空き 第五
  • ヒラメ、青物コース 満席  第八

  • アジ五目コース 空き 第六
  • フグコース 空き 第五
  • ヒラメ、青物コース 空き 第八

  • アジ五目コース 空き 第六
  • フグコース 空き 第五
  • ヒラメ、青物コース 空き 第八

  • アジ五目コース 空き 第六
  • フグコース 空き 第五
  • ヒラメ、青物コース 空き 第八

  • アジ五目コース 空き 第六
  • フグコース 空き 第五
  • ヒラメ、青物コース 空き 第八

  • アジ五目コース 空き 第六
  • フグコース 空き 第五
  • ヒラメ、青物コース 空き 第八

  • アジ五目コース 空き 第六
  • フグコース 空き 第五
  • ヒラメ、青物コース 【空1】 第八

  • アジ五目コース 空き 第六
  • フグコース 空き 第五
  • ヒラメ、青物コース 満席 第八

  • アジ五目コース 空き 第六
  • フグコース 空き 第五
  • ヒラメ、青物コース 満席 第八

  • アジ五目コース 空き 第六
  • フグコース 空き 第五
  • ヒラメ、青物コース 満席 第八

  • アジ五目コース 空き 第六
  • フグコース 空き 第五
  • ヒラメ、青物コース 空き 第八

  • アジ五目コース 空き 第六
  • フグコース 空き 第五
  • ヒラメ、青物コース 空き 第八

  • アジ五目コース 空き 第六
  • フグコース 空き 第五
  • ヒラメ、青物コース 空き 第八

ご予約はこちらから

ご予約、出船確認のお電話は夜8時までに御願いします。

Tel : 0569-63-0085