1. ホーム
  2. 釣果ブログ
  3. ウタセ五目コース
  4. 第五・ウタセ五目コース開幕!即!大メバル極釣劇!

釣果ブログ

第五・ウタセ五目コース開幕!即!大メバル極釣劇!

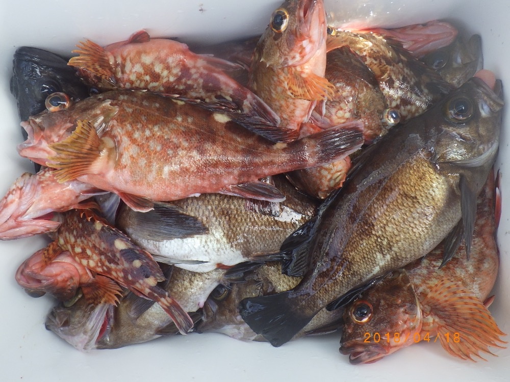
活きウタセビが入荷しましたのでお客様と相談の上、ウタセ五目コース前倒しで出船しました
予定は4・21(土)でしたが活きウタセビが入荷したので待ちきれず(笑!)…
開幕即!猛烈です・活きウタセエビで大メバル爆発でした・凄いですょ〜
とゆうわけで明日からもウタセ五目コースで出船します
今日の釣果をじっくりご覧ください・週末にかけ天気も良いので釣行プランの参考に…
黒い宝石、メバルのサイズが半端でなし、大メバルがコンスタントに釣れました
当店毎年恒例の春、初夏のウタセ五目コース幸先よいスタートでした
他、カサゴ、小鯛、フグ、アイナメ等まさに五目釣りの決定版です
⭕️明日・第五、ウタセ五目コース出船

明日以降の出船予定

12月 6時〜6時30分までに受付、乗船して下さい【港6時50分出船】⭕️ヒラメ、青物コースは6時に席決めの抽選をします

  • アジ五目コース 空き 第六
  • フグコース 空き 第五
  • ヒラメ、青物コース 満席 第八

  • アジ五目コース 空き 第六
  • フグコース 空き 第五
  • ヒラメ、青物コース 満席  第八

  • アジ五目コース 空き 第六
  • フグコース 空き 第五
  • ヒラメ、青物コース 空き 第八

  • アジ五目コース 空き 第六
  • フグコース 空き 第五
  • ヒラメ、青物コース 空き 第八

  • アジ五目コース 空き 第六
  • フグコース 空き 第五
  • ヒラメ、青物コース 空き 第八

  • アジ五目コース 空き 第六
  • フグコース 空き 第五
  • ヒラメ、青物コース 空き 第八

  • アジ五目コース 空き 第六
  • フグコース 空き 第五
  • ヒラメ、青物コース 空き 第八

  • アジ五目コース 空き 第六
  • フグコース 空き 第五
  • ヒラメ、青物コース 【空1】 第八

  • アジ五目コース 空き 第六
  • フグコース 空き 第五
  • ヒラメ、青物コース 満席 第八

  • アジ五目コース 空き 第六
  • フグコース 空き 第五
  • ヒラメ、青物コース 満席 第八

  • アジ五目コース 空き 第六
  • フグコース 空き 第五
  • ヒラメ、青物コース 満席 第八

  • アジ五目コース 空き 第六
  • フグコース 空き 第五
  • ヒラメ、青物コース 空き 第八

  • アジ五目コース 空き 第六
  • フグコース 空き 第五
  • ヒラメ、青物コース 空き 第八

  • アジ五目コース 空き 第六
  • フグコース 空き 第五
  • ヒラメ、青物コース 空き 第八

ご予約はこちらから

ご予約、出船確認のお電話は夜8時までに御願いします。

Tel : 0569-63-0085