釣果ブログ
-
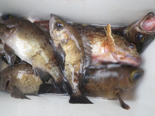
- お客様名刈谷市、柿脇様他
- 場所伊良湖沖
- コース メバル、カサゴコース
- 釣りものメバル、カサゴ等
-
- お客様名半田市、清田様他
- 場所伊良湖沖
- コース メバル、カサゴコース
- 釣りものメバル、カサゴ等
-
- お客様名豊山町、安藤様他
- 場所伊良湖沖
- コース メバル、カサゴコース
- 釣りものメバル、カサゴ等
-
- お客様名半田市、近藤様他
- 場所伊良湖沖
- コース メバル、カサゴコース
- 釣りものメバル、カサゴ等
-
- お客様名大府市、山口様他
- 場所伊良湖沖
- コース メバル、カサゴコース
- 釣りものメバル、カサゴ、イワシ等
-
- お客様名岡崎市、山田様他
- 場所伊良湖沖
- コース メバル、カサゴコース
- 釣りものメバル、カサゴ等
-
- お客様名名古屋市、片桐様他
- 場所伊良湖沖
- コース メバル、カサゴコース
- 釣りものメバル、カサゴ等
-
- お客様名安城市、岩崎様他
- 場所伊良湖沖
- コース メバル、カサゴコース
- 釣りものメバル、カサゴ、マアジ等
-
- お客様名名古屋市、片桐様他
- 場所伊良湖沖
- コース メバル、カサゴコース
- 釣りものメバル、カサゴ、セイゴ等
-
- お客様名常滑市、岸田様他
- 場所伊良湖沖
- コース メバル、カサゴコース
- 釣りものメバル、カサゴ、マアジ等
明日以降の出船予定
5月 朝4時30分受付、5時迄に乗船して下さい 5時20分出船
- 大山アジ、イサキコース 満席 第六
- タココース 満席 第五
- キャンセル待ち承ります
- トラフグコース 満席 第八
各コース空き多数
- 大山アジ、イサキコース 空き 第六
- タココース 空き
- トラフグコース 空き
- カワハギコース
各コース空き多数
- 大山アジ、イサキコース 空き 第六
- タココース 空き
- トラフグコース
- カワハギコース 空き
各コース空き多数
- 大山アジ、イサキコース 空き 第六
- タココース 空き
- カワハギコース 空き
各コース空き多数
- 大山アジ、イサキコース 空き 第六
- タココース 空き
- カワハギコース 空き