1. ホーム
  2. 釣果ブログ

釣果ブログ

第六・伊良湖沖で五目満喫!小鯛メインに多彩な魚種がヒット!

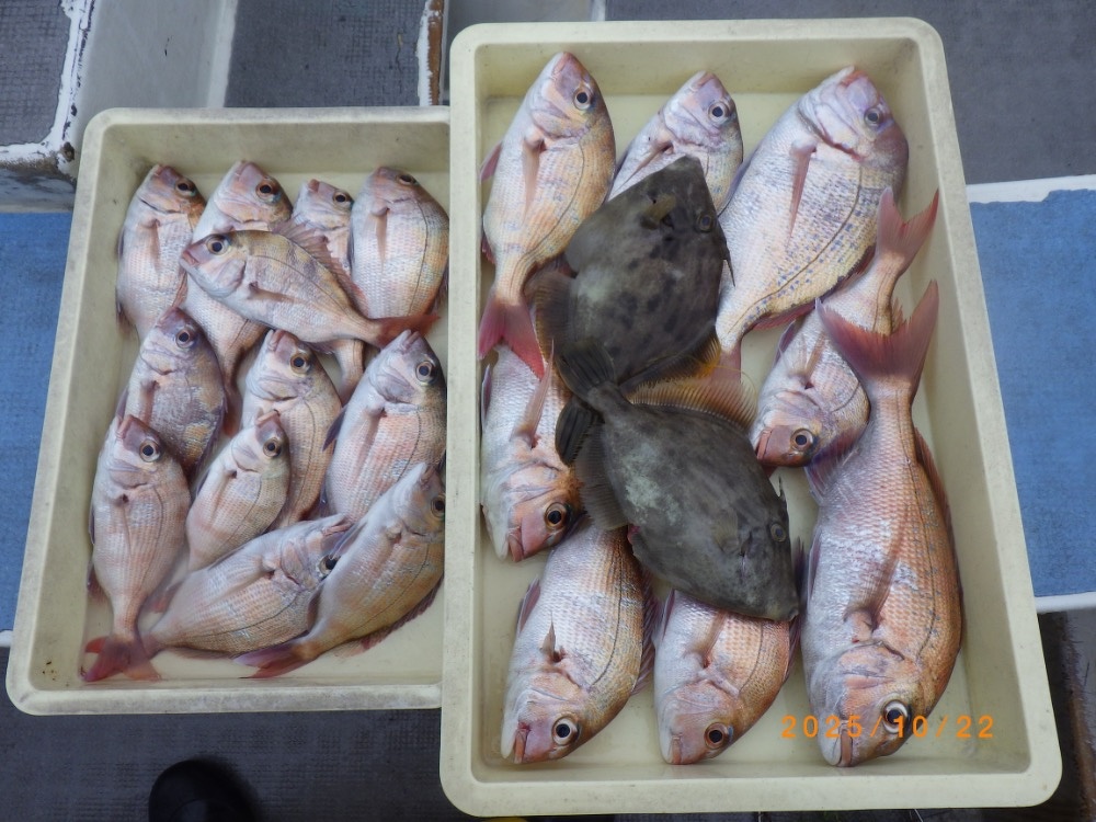
本日も伊良湖沖でじっくりウタセ五目釣りに出船しました~
朝イチは小鯛狙いからスタート!
反応バッチリでアタリも頻繫にあり、あっちでもこっちでも竿が曲がる忙しさ!
リリースサイズも多かったですが、手のひらサイズから良型までコンスタントにヒット♫
中盤からはツバスやカワハギも混じり、クーラーの中はどんどんカラフルに!
後半はポイントを変えてカサゴ狙い。数は控えめでしたが、こちらも良型揃いでずっしりお土産確保!
今日も頼れる相棒・活きウタセエビが大活躍!やっぱりこのエサ、反応が違いますね!
初めての方も、ベテランさんも楽しめる“ウタセ五目シーズン”!
伊良湖沖はまだまだ好調続行中です◎
ぜひ次回もチャレンジお待ちしてます!
⭕️次回・10/24(金)・第六・ウタセ五目コース

第八・掛ければデカい!伊良湖沖で良型カワハギに挑戦!

本日も伊良湖沖でじっくりとカワハギ・フグコース出船!
朝からベラや小鯛などゲストも交じりながら、じわじわとカワハギを狙っていきました。
アタリの見極めが難しく、掛けるタイミングが勝負どころ!
それでも一枚掛かれば良型ぞろい♫
今日はワッペンサイズ(小型)はほとんど見られず、20cm前後の立派なサイズがメイン。
最大は26cmと肉厚の良型カワハギも登場しました!
数は控えめでしたが、引き味・食味ともに抜群の秋カワハギらしい釣り日和♫
エサ取り名人との駆け引きを楽しみながら、みなさん集中してじっくり攻めてくださいました~♪
⭕️次回・10/24(金)・第八・カワハギ、フグコース

第五・秋の伊良湖沖タチウオ絶好調! 今がまさに釣りドキ!

本日も伊良湖沖でじっくりタチウオ狙い!!
朝イチから反応バッチリで、いきなり入れ食いスタート!
仕掛けを落とせばすぐにアタリ!船上は終日大賑わいでした~♪
トップはなんと 64本!!
全体でも 30~64本 と、まさに“爆釣”の一日♫
クーラーボックスがずっしり満タンになった方も続出◎
サイズは指3本前後が中心で、引き味も抜群!
今日はドラゴン級こそ出ませんでしたが、良型そろいでお土産は十分すぎるほどでした~
脂ノリも最高シーズンに突入!
刺身・塩焼き・天ぷら・フライ、どれにしても絶品のタチウオです。
週末も好反応が続きそうですので、ぜひこの絶好のチャンスに伊良湖沖のタチウオ釣りへ!
皆さまのご乗船お待ちしております!!
⭕️次回・10/24(金)・第五・タチウオコース

明日以降の出船予定

4月 朝5時〜5時30分までに受付、乗船して下さい 5時50分出船 

各コース空き多数

  • 大山アジ、イサキコース 空き 第六
  • トラフグコース 空き 第八

各コース空き多数

  • 大山アジ、イサキコース 空き 第六
  • カワハギコース 空き 第五
  • トラフグコース 空き 第八

各コース空き多数

  • 大山アジ、イサキコース 空き 第六
  • カサゴコース 空き
  • トラフグコース 空き

各コース空き多数

  • 大山アジ、イサキコース 空き 第六
  • カワハギコース 空き 第五
  • トラフグコース 空き 第八

各コース空き多数

  • 大山アジ、イサキコース 空き 第六
  • カワハギコース 空き 第五
  • トラフグコース 空き 第八

ご予約はこちらから

ご予約、出船確認のお電話は夜8時までに御願いします。

Tel : 0569-63-0085