1. ホーム
  2. 釣果ブログ

釣果ブログ

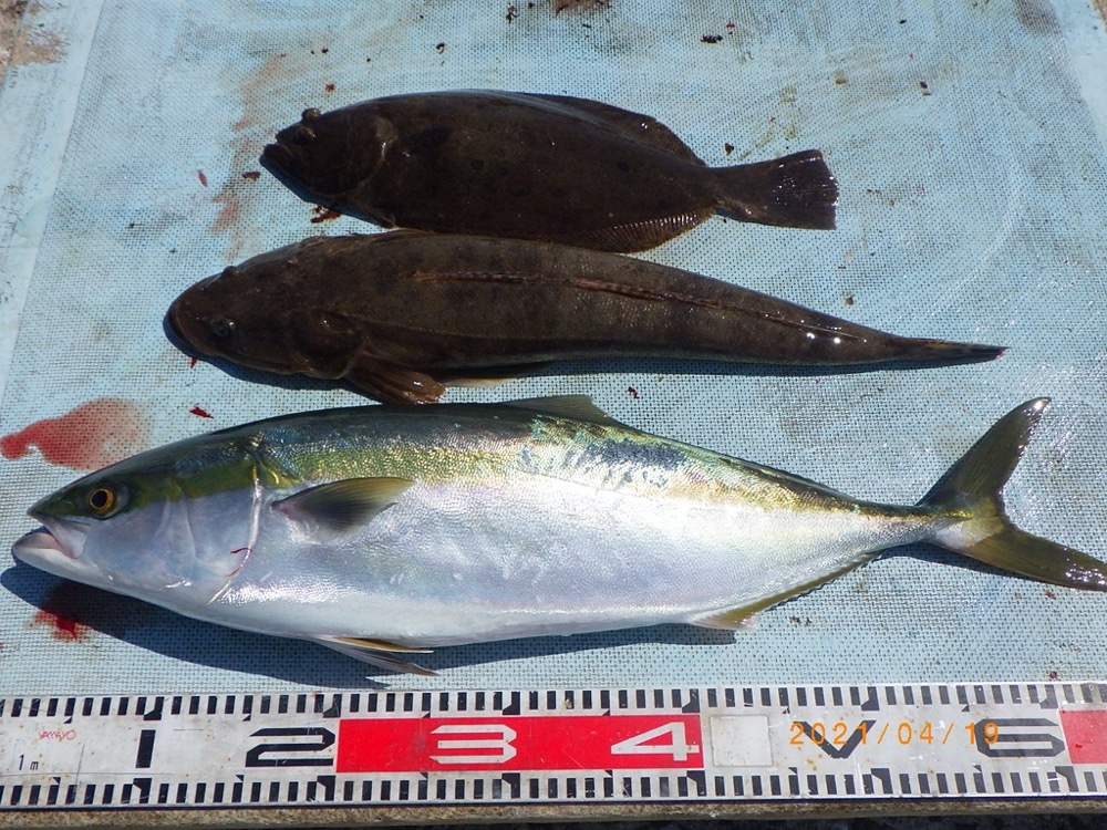
第八・春ヒラメ乱舞!驚異の釣果あり…!

伊良湖沖、春のヒラメ&青物ど真ん中!!
底付きベイト反応には素晴らしい多彩な大物魚が潜んでますよ~
明日から穏やかな日が続きます。
夢いっぱいの伊勢湾が激アツです☆
⭕明日・第八・ヒラメ、青物コース・満席です

第六・大山沖、春の大アジ祭りへ…!!

本日は少々波風ありましたが、大山沖へ大アジ狙いに出撃しました~
アジの反応みながらポイントを転々と移動しましたが釣果はイマイチでした…
明日は穏やかな好天気です!大山沖マアジ爆釣騒ぎになるか⁉️
⭕明日・第六・大山沖アジ、サバコース

第五・伊良湖沖、ジャンボカサゴてんこ盛り!!

本日は伊良湖沖へメバル・カサゴ釣りに出船でした
朝はメバル狙いからスタートしましたがアタリなくて厳しかったです…
中盤以降はカサゴ狙いに変更して、カサゴはコンスタントに釣れました!!
⭕明日・第五・メバル、カサゴコース

明日以降の出船予定

5月 朝4時30分受付、5時迄に乗船して下さい 5時20分出船 

定休日

  • 各コース 休船

各コース空き多数

  • 大山アジ、イサキコース 空き 第六
  • タココース 空き
  • キスコース 空き
  • カワハギコース 空き

  • 大山アジ、イサキコース 満席 第六
  • カワハギコース 空き多数 第五
  • タココース 空き多数 第八

各コース空き多数

  • 大山アジ、イサキコース 空き
  • カワハギコース 空き
  • タココース 空き
  • キスコース 空き

各コース空き多数

  • 大山アジ、イサキコース 空き
  • カワハギコース 空き
  • タココース 空き
  • キスコース 空き

各コース空き多数

  • 大山アジ、イサキコース 空き
  • カワハギコース 空き
  • タココース 空き
  • キスコース 空き

ご予約はこちらから

ご予約、出船確認のお電話は夜8時までに御願いします。

Tel : 0569-63-0085